

Nous voilà bien rentré à Arès, la vie reprends son cours ! Nous sommes chez Christian et Sonia pour 15 jours avant de récupérer notre maison préférée ! Cet article vient un peu tard mais voilà, le voyage retour à durée bien longtemps ( 22 heures de maison à maison !) et nous sommes un peu fatigué . Mais comme promis, on vous fait un petit bilan !!! Comme vous le voyez avec le tracé rouge sur la carte, nous avons pas mal vadrouillé dans l’île, mais aussi en mer ! Comme vous le voyez avec le tracé rouge sur la carte, nous avons pas mal vadrouillé dans l’île, mais aussi en mer ! Le tableau de photos rappelle les bons souvenirs de cette vadrouille ! Allez Encore un peu de lecture pour un petit résumé en différents thèmes de cette belle vadrouille en Martinique .
LES MARTINIQUAIS :
Les Martiniquais sont plutôt agréables avec une joie de vivre qui faisaient certes défaut mais on peu comprendre qu’en ces temps de crise sanitaire, les évènements ont mis à mal le moral des habitants. Évidement avec la famille de Leïla le CD4 a pu beaucoup communiquer et on a fait aussi de belles connaissances à l’extérieur avec Pierre et Adri au « bagout » redoutable !
Nous avons aussi eu des ressentis notamment ou l’on on observe divisions et fractures qu’elles soient basées sur la couleur de peau, la classe sociale, la zone géographique ce qui fait que l’attitude des gens est parfois attentiste dans les évènements .
Mais retiendrons que la Martinique, ce petit bout de la France nous a séduit séduit par son paysage contrasté, ses coutumes et ses traditions. La région possède une population multiculturelle et elle est très attachante. La famille a une importance capitale dans l’île avec des rapports très proches entre toute les générations et c’est très poignant de ressentir ces liens . La religion est aussi omniprésente (catholique) avec un dicton permanent : » à demain si Dieu le veut » ! Vous connaissez Pierre, tout en respectant le dicton, pince sans rire à chaque fois il répondait : « bah, bah, bah » ! En tout cas pour conclure, par rapport à Arès, le dépaysement a été total !!!
LES PAYSAGES :
Ce qui frappe avant tout, c’est la diversité des paysages : montagnes abruptes, forêt tropicale, collines verdoyantes ondulant jusqu’à la mer, falaises déchiquetées, plages sereines avec 2 couleurs de sable blanc ou gris … Avec les mots soleil, mer et montagne, c’est la trilogie résumant la Martinique. On apprécie bien sûr l’eau à 27° avec des fonds marins fabuleux mais aussi cette végétation absolument incroyable.une diversité étonnante entre bananiers arbre à pains, amandiers,cocotiers, palmiers , espèces de fleur en nombres… le tout donne une ambiance unique dont on ne se lasse pas.
LA CUISINE :
Les spécialités culinaires de la Martinique, c’est toute l’histoire de l’île au fil des siècles, entre immigration, colonialisme, esclavage et traditions caribéennes… sans compter les paysages paradisiaques des Petites Antilles ! En clair, les plats traditionnels de la cuisine créole nous ont fait frétiller les papilles: giraumon, carambole, patate douce, pomme cannelle, chiquetaille, poulet boucané, langoustes grillées, accras, épices à tout va, carri, blaff , matoutou, ti punch … le bon « lapéti « est vraiment de rigueur avec cette cuisine créole haute en couleur et en saveurs à l’image d’un certain repas que Gisèle nous avait concocté la semaine dernière. A la maison à Arès, Leïla nous cuisine avec les saveus de son île mais là nous avons vraiment goûté du grandeur nature … c’est « vachement« bon !!! Nous avons fait très peu de restaurant étant souvent invités par famille et amis… et aussi à cause d’un certain confinement, vous connaissez, non ?!
DÉCALAGE HORAIRE :
Fort de France est positionné dans le fuseau horaire UTC/GMT-4 toute l’année . Avec aucun changement de fuseau horaire, la Métropole appliquant le système d’heure d’été, le décalage horaire avec Martinique évolue entre – 5h en heure d’hiver et – 6h en heure d’été. Tout au long de l’année il y a quasiment le même nombre d’heures entre le jour et la nuit c’est à dire 12 heures contrairement à la métropole.
En ce qui concerne le décalage horaire, il est bien plus supportable pendant le voyage dans le sens aller Paris – Martinique. En effet, on bénéficie d’une grande journée, car bien que le vol dure 8h, on atterrit 3h après avoir décollé. On s’est assez vite habitué au décalage à l’arrivée, par contre tout les jours nous étions debout à 6 heures du mat mais nous étions couché que vers minuit ce qui faisait un dodo un peu court !
Pour le voyage de retour, nous sommes partis vers 22h et le décalage est assez difficile à récupérer. En effet, la nuit est très courte, entre le repas du soir et le petit déjeuner dans l’avion, il n’y a que peu d’heure pour dormir. Heureusement l’avion n’étant pas plein, nous avons pu nous allonger sur plusieurs sièges afin de récupérer. N’empêche qu’en ce moment , nous n’avons plus trop la notion de l’heure à laquelle nous sommes, c’est déroutant !
LA MÉTÉO :
La Martinique est dotée d’un climat tropical, tempéré par les alizés. Du mois de décembre au mois de mai, il fait chaud, sec et la température moyenne avoisine les 30° C. Cette période est appelée le Carême.
La deuxième saison, l’Hivernage, s’étend de juin à novembre. Beaucoup plus humide, elle est aussi plus fraîche (température moyenne de 27°C) et se caractérise par un important risque de cyclone.
Comme vous le voyez nous ne sommes pas partis à la meilleure période mais nous avons eu globalement beau temps. N’en reste pas moins que la période a été chaude humide mais nous avons survécu ! Pierre qui redoutais le climat pesant a fini par s’y habituer bien aidé par les alizés qui traversent l’île.
LA CONDUITE:
Bon, c’est un peu la jungle ! Embouteillages permanents surtout au Sud, la moitié des motards sans casques, des changements de file à tout va, des vitesses excessives , des clignotants aux abonnés absents… certes on a connu pire mais il faut être bien rodé pour conduire en Martinique. Nous avions loué une Sandero, la voiture locale pour les touristes bien suffisante pour le profil des routes plutôt bien fait.
L’AMBIANCE DU CD4 :
Une belle symbiose de famille avec des parents soudés et des enfants qui s’entendent à merveille. Ces instants de vacances sont toujours bienvenues. On prends le temps, on s’écoutent, on s’entraide. Et puis il y a eu l’instant si émouvant du départ du Papa de Leïla où nous avons fait tous bloc avec Simone la Maman et Alick le frère. Cet évènement nous a beaucoup rapproché. Les projets ont été bien sûr chamboulés mais c’est la vie parfois nous rappelle les choses, que rien n’est figé.
Mistral n’a pas été de la vadrouille et il nous a manqué…Notre berger a passé ses vacances au « chien câlin « ou il est bien avec ses potes !
ET POUR CONCLURE :
Vous l’aurez compris en partageant notre blog que nous avons vécu beaucoup d’émotions fortes dans ce voyage avec des événements de vie. Nous reviendrons sûrement dans 2 ans après notre périple aux USA pour découvrir l’île avec moins de stress afin vraiment d’en profiter . La Martinique est une île dépaysante avec ses subtils mélanges, son histoire, ses personnages haut en couleurs, son côté maritime particulièrement beau de vrais curiosités que nous avons percée de jour en jour . Leïla tu peux être fière de ton île et ton mari te comprends mieux à présent … trop chouette !
Et pour terminer notre traditionnel j’aime, j’aime pas !
ON A AIMÉ :
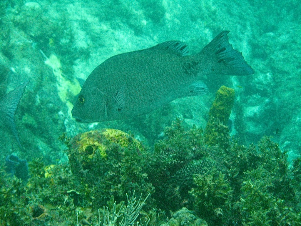
- La plongée sous marine avec la magie des fonds de la Caraïbes ( Momo)
- La pêche au gros et le Thazard pris avec la bouée, les yeux grand équarquillés ! (Adri)
- La plage Dufour et nager près des tortues vertes, vraiment chouette (Leïla)
- Les Taties, les Tontons, les Parrains et Marainnes, les amis … la famille de Leïla tout une culture, j’adore ! (Pierre)
- La sortie en bateau avec JP dans les fonds blanc. Iguanes, dégustation de Langoustes, Punch… tout y étais ! ( Adri)
- Les chansons improvisées à propos des ravets ! (Momo)
- Etre dans mon île avec ma famille ! (Leïla)
- Les sports sur la plage avec les plongeons depuis les jetées , le foot et le beach volley ! (Adri)
- La bonne cuisine locale … » Machala » ! (Momo)
- L’anse couleuvre avec son sable noir et son écrin de cocotiers ( Leïla)
- Le rocher du Diament et la longue plage du village (Pierre)
ON A MOINS AIME :
- Les embouteillages énormes, ç’est vraiment pénible ! (Leïla)
- Les sargasses, algue qui prolifère surtout côté Atlantique . Une odeur terrible, les plages pollués, un fléau (Adri )
- Le bruit permanent la nuit des cabris bois … en fait il n’y a jamais le silence en Martinique, épuisant ! (Pierre)
- La surprises des ravets au petit matin ! (Adri)
- Les coups de soleil, « j’ai une tête de chnouf » disait-elle ! ( Momo)
- Notre maison à Balata . Même si elle était grande, elle n’était pas très adapté à notre famille et puis aussi il y avait des ravets !!! (Leïla)
- Ne pas avoir fait plus de belotes le soir ! (Momo)
- Le prix de l’alimentation … un fond de caddy, c’est 120 Euros ! (Pierre)
Ce post est le dernier de notre vadrouille ! Dans nos têtes, nous préparons déjà la prochaine avec le road-trip aux États Unis. Dans 2 ans nous reviendrons en Martinique pour vivre encore la douceur de l’île et découvrir tout ce que nous avons pas pu faire cette année. En attendant, comme nous avons toujours la bougeotte, on fera des escapades de temps en temps, alors surveillez notre blog de temps en temps pour partager les minis-vadrouille de l’année !
Plein de pensées pour vous, merci d’avoir partagé notre voyage. A très vite !
Le club des 4 en vadrouille : Pierre, Leïla , Momo et Adri
👨 👩 👶👶




































































































































